Rinoplastia

Rinoplastia

Introducción

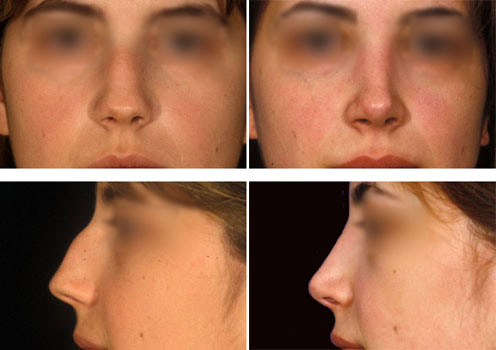
La rinoplastia es la cirugía que modifica la forma de la nariz, y es uno de los procedimientos quirúrgicos más frecuentemente realizados en cirugía plástica. La rinoplastia puede disminuir o aumentar el tamaño de la nariz, cambiar la forma de la punta o del dorso, estrechar los orificios nasales o cambiar el ángulo entre la nariz y el labio superior. También corrige los problemas congénitos, los traumatismos y algunos problemas respiratorios.

¿Quiénes se pueden someter a una rinoplastia?

Aquellas personas que buscan una mejoría, y no una perfección absoluta, en su apariencia. La edad también debe tenerse en cuenta. Es importante no realizar una rinoplastia hasta que no se haya dado el "estirón", es decir, hasta los 14 o 15 años en las niñas y algo más para los niños.

La Cirugía

La rinoplastia se realiza siempre en quirófano, dentro de una clínica o sanatorio. La rinoplastia puede realizarse bajo anestesia local más sedación o con anestesia general, dependiendo de la complejidad de la cirugía y de las preferencias del cirujano y paciente. Una rinoplastia suele durar entre 1 y 2 horas, aunque en casos complejos puede llevar más tiempo. Durante la cirugía, la piel de la nariz se separa de su soporte, compuesto por hueso y cartílago, que es esculpido con la forma deseada. Finalmente la piel es redistribuida sobre este nuevo soporte

La vuelta a la normalidad

Tras la cirugía, y sobre todo, durante las primeras 24 horas, puede sentir la cara hinchada, molestias sobre la nariz y dolor de cabeza, que ceden con medicación.Notará que el hinchazón y los hematomas alrededor de los ojos aumentan hasta alcanzar un máximo a los 2 ó 3 días. Aplicándose compresas frías disminuirá la hinchazón y se encontrará mejor.


rinoplastia

Si querés consultarnos sobre esta cirugía en especial, completá el formulario con tus datos y nos pondremos en contacto a la brevedad

dr pablo vergini

Centro Privado de Otorrinolaringologia - San Lorenzo 2440 | Tel. 4306122 / 4380863 / 4309684

Sanatorio de Niños - Alvear 863 | Tel. 4204400.

Instituto Regional de Cirugía Estética de Rosario - Catamarca 2933 | Tel. 4352222 / 4396830

consultas@drvergini.com